따식02
페이지 정보
작성자 UncleSUM 쪽지보내기 메일보내기 자기소개 아이디로 검색 전체게시물 작성일10-08-18 21:46 조회2,324회 댓글3건본문
에서
추천 1
댓글목록
민가이님의 댓글
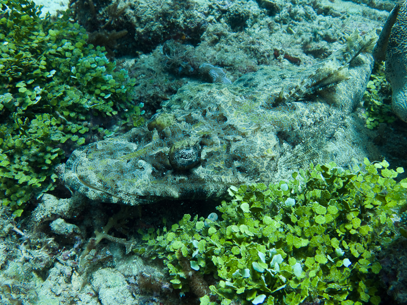
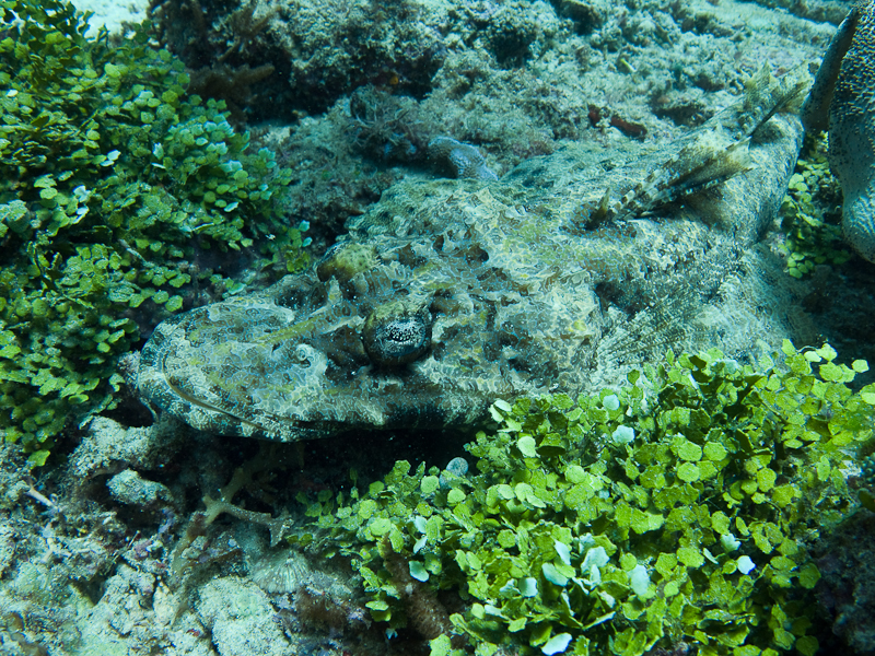
위장술들이 대단하네요 언뜻 봐서는 뭐가 숨었는지 잘 모르겠는데요 ^^
따우님의 댓글
따우 쪽지보내기 메일보내기 홈페이지 자기소개 아이디로 검색 전체게시물 작성일멋쟁이들......
카니발님의 댓글
카니발 쪽지보내기 메일보내기 자기소개 아이디로 검색 전체게시물 작성일숨은그림 두개 .ㅎ



재인니 대한검도회
인도네시아 한국센터
BBJA 농구단
재인니 한인 야구 협회 (Indonesia Korean Baseball Organization ; IKBO)
UMN BIPA
인도네시아 국립대(UI)
코리아나 야구동호회
FC화풋




