비즈니스/홍보 > 발리바다, 자연산 회가 무제한 제공되는 회크루즈

본문 바로가기
  • FAQ
  • 현재접속자 (977)
  • 최신글

LOGIN

1. 본 란은 유료 게시판입니다.
2.신청은 "홍보게시물 등록신청"를 클릭하여 별도로 신청해 주시기 바랍니다.
3.공공성이 인정되는 게시물은 별도 요청 시 무료 게재 가능합니다.
4. 비즈니스 관련 궁금한 사항은 "궁금해요" 게시판을 이용해 주시기 바랍니다.

여행/골프/숙박 | 발리바다, 자연산 회가 무제한 제공되는 회크루즈

페이지 정보

작성자 발리바다 쪽지보내기 메일보내기 홈페이지 자기소개 아이디로 검색 전체게시물 작성일 조회18,249회 댓글8건
  • 목록
게시글 링크복사 : https://www.indoweb.org:443/love/bbs/tb.php/biz_promo/31341

본문

http://balibada.com
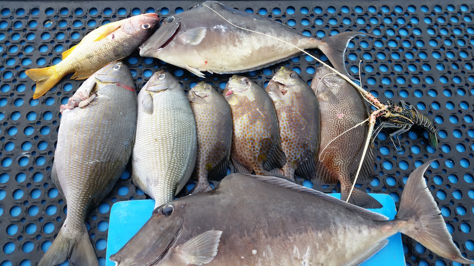
회크루즈는 전문 프리다이버가 회로 맛있는 고기로 검증된 물고기만 골라서 작살총으로 잡아 배 위에서 바로 회로 떠드리므로 횟집에서 먹는 회보다 더 싱싱하고 맛있습니다.
횟감을 잡는 동안 손님은 선상바다낚시를 할 수 있습니다.  낚시로 잡는 고기는 회로 먹기에는 적당하지 않아 손맛만 보시고 횟감은 작살총으로 갓 잡은 고기로 "그만회"할 때까지 무한 리필해드립니다.

발리바다에서는 회크루즈 외 래프팅, 데이크루즈, 스쿠버다이빙 등 다른 엑티비티들도 예약금이나 신용카드 없이  할인된 요금으로 예약해드립니다.
좋아요 0

댓글목록

댓글의 댓글

발리바다님의 댓글

발리바다 쪽지보내기 메일보내기 홈페이지 자기소개 아이디로 검색 전체게시물 작성일

아 여기서 뵈니 더욱 반갑습니다.
발리바다를 여기 저기에 광고해주시니 너무너무 고맙습니다.

발리바다님의 댓글

발리바다 쪽지보내기 메일보내기 홈페이지 자기소개 아이디로 검색 전체게시물 작성일

그저께 회크루즈 때 같은 포인트에서 10분 간격으로 두마리의 GT를 잡았습니다.

  • 목록
비즈니스/홍보 목록
  • Total 843건 1 페이지
비즈니스/홍보 목록
번호 제목 글쓴이 날짜 조회
✨인니 기업운영시스템 "Sol* ERP, Works AI"… Omysolution 쪽지보내기 자기소개 아이디로 검색 전체게시물 25-11-18 48575
PAC 세무회계사무소 pratama 쪽지보내기 자기소개 아이디로 검색 전체게시물 25-04-15 577142
인테리어 최고 전문 기업 - IndoKor 인니인 쪽지보내기 자기소개 아이디로 검색 전체게시물 25-05-01 435428
POS, ERP 손쉬운 판매관리시스템 - 유비테크(YUBI… 비다까라 쪽지보내기 자기소개 아이디로 검색 전체게시물 25-05-11 441733
[인니사업 시작의 필수 항목] 회계/세무, 사무실, 회사… 여행가기 쪽지보내기 자기소개 아이디로 검색 전체게시물 16-12-01 25309
Radio Frequency IDentification R… 비다까라 쪽지보내기 자기소개 아이디로 검색 전체게시물 20-08-24 322327
(통관,물류) 인도네시아 통관에 어려움을 겪고 계신분들 참… AONE 쪽지보내기 자기소개 아이디로 검색 전체게시물 25-05-16 251328
KITAS,비자,대학문서,할랄,ISO인증,세무,노무 행정지… 바른나무 쪽지보내기 자기소개 아이디로 검색 전체게시물 25-09-12 418339
843 교육/학원 사이버한국외대 2026학년도 1학기 신·편입생 모집(졸업 … 댓글5 첨부파일 사외대 쪽지보내기 메일보내기 자기소개 아이디로 검색 전체게시물 25-12-02 9343
842 IT/기계/전자 ✨인니 기업운영시스템 "Sol* ERP, Works AI"… Omysolution 쪽지보내기 메일보내기 자기소개 아이디로 검색 전체게시물 25-11-18 48575
841 교육/학원 [설명회 무료초청] 해외파 90%가 모르는 SKY 평가기준… 베테랑스에듀 쪽지보내기 메일보내기 자기소개 아이디로 검색 전체게시물 25-10-14 156630
840 법률/컨설팅/부동산 FITI시험연구원 (안전한 오늘, 지속가능한 내일을 이끄는… 댓글2 엘리아 쪽지보내기 메일보내기 자기소개 아이디로 검색 전체게시물 25-09-30 161605
839 법률/컨설팅/부동산 KITAS,비자,대학문서,할랄,ISO인증,세무,노무 행정지… 바른나무 쪽지보내기 메일보내기 자기소개 아이디로 검색 전체게시물 25-09-12 418339
838 여행/골프/숙박 좋아요1 회크루즈(HOI Crews)는 작살로 찌른 고기를 배 위에… 댓글7 첨부파일 발리바다 쪽지보내기 메일보내기 홈페이지 자기소개 아이디로 검색 전체게시물 25-09-05 391455
837 문화/행사/기타 K-제품을 홍보하는 가장 효과적인 플랫폼 – 살람코레아 댓글4 bcap 쪽지보내기 메일보내기 자기소개 아이디로 검색 전체게시물 25-09-01 389194
836 여행/골프/숙박 스크린 골프 설치 비다까라 쪽지보내기 메일보내기 자기소개 아이디로 검색 전체게시물 25-08-01 279746
835 문화/행사/기타 [인도네시아 첫 상륙] K-셀프포토 브랜드 ‘포토그레이’ … 댓글1 PhotograyInd… 쪽지보내기 메일보내기 자기소개 아이디로 검색 전체게시물 25-07-31 226718
834 물류/무역/제조 냉동 전문 화물 운송, 신선함 그대로 인도네시아까지! - … 비다까라 쪽지보내기 메일보내기 자기소개 아이디로 검색 전체게시물 25-07-24 99574
833 식당/식품 슬라이스 닭가슴살 "THE 푸르닭" PTBHI 쪽지보내기 메일보내기 자기소개 아이디로 검색 전체게시물 25-07-22 599541
832 물류/무역/제조 [마감] PT Krakatau POSCO 구내식당(한식당) 댓글1 POSCOHRGA 쪽지보내기 메일보내기 자기소개 아이디로 검색 전체게시물 25-07-14 120150
831 식당/식품 착한갈비 - '25년 7월 19일 GRAND OPEN 비다까라 쪽지보내기 메일보내기 자기소개 아이디로 검색 전체게시물 25-07-13 210251
830 문화/행사/기타 한 편의 드라마 같은 콘서트, K-OST 콘서트 인도네시아… 비다까라 쪽지보내기 메일보내기 자기소개 아이디로 검색 전체게시물 25-07-10 133277
829 문화/행사/기타 중고거래 및 커뮤니티 APP - INNER CIRCLE 댓글1 INNERCIRCLE 쪽지보내기 메일보내기 홈페이지 자기소개 아이디로 검색 전체게시물 25-06-26 133223
828 문화/행사/기타 한 편의 드라마 같은 콘서트!!!(린, 김범수, 케이윌, … 댓글1 비다까라 쪽지보내기 메일보내기 자기소개 아이디로 검색 전체게시물 25-06-18 223254
827 [KOTRA] 2025 인도네시아 진출기업 설명회 참가신청… 댓글1 코트라자카르타무역관 쪽지보내기 메일보내기 자기소개 아이디로 검색 전체게시물 25-06-18 177689
826 8, 9학년이 SAT를 시작하면 안 되는 이유 베테랑스에듀 쪽지보내기 메일보내기 자기소개 아이디로 검색 전체게시물 25-06-09 222184
825 공지 홍보게시물 신청 방법 및 절차 비다까라 쪽지보내기 메일보내기 자기소개 아이디로 검색 전체게시물 25-06-03 204118
824 교육/학원 사이버한국외대 2025학년도 2학기 신·편입생 모집(졸업 … 댓글1 사외대 쪽지보내기 메일보내기 자기소개 아이디로 검색 전체게시물 25-05-29 213547
823 교육/학원 디지털 SAT 6월 직전대비 특강 베테랑스에듀 쪽지보내기 메일보내기 홈페이지 자기소개 아이디로 검색 전체게시물 25-05-27 230944
822 (통관,물류) 인도네시아 통관에 어려움을 겪고 계신분들 참… AONE 쪽지보내기 메일보내기 자기소개 아이디로 검색 전체게시물 25-05-16 251328
821 IT/기계/전자 POS, ERP 손쉬운 판매관리시스템 - 유비테크(YUBI… 첨부파일 비다까라 쪽지보내기 메일보내기 자기소개 아이디로 검색 전체게시물 25-05-11 441733
820 식당/식품 남미산 프리미엄 자숙 곱창 & 대창 - 인도네시아 파트너 … 댓글2 엘아사도르 쪽지보내기 메일보내기 자기소개 아이디로 검색 전체게시물 25-05-09 267734
819 문화/행사/기타 인테리어 최고 전문 기업 - IndoKor 댓글1 인니인 쪽지보내기 메일보내기 자기소개 아이디로 검색 전체게시물 25-05-01 435428
818 교육/학원 좋아요2 SAT 1500점 이상 받는 가장 확실한 방법 5월 직전대… 베테랑스에듀 쪽지보내기 메일보내기 홈페이지 자기소개 아이디로 검색 전체게시물 25-04-24 349935
817 법률/컨설팅/부동산 PAC 세무회계사무소 pratama 쪽지보내기 메일보내기 자기소개 아이디로 검색 전체게시물 25-04-15 577142
816 여행/골프/숙박 좋아요1 ▶ 발리 한다라CC 무제한 라운딩&골프텔 ◀ 댓글1 오케이발리 쪽지보내기 메일보내기 자기소개 아이디로 검색 전체게시물 25-04-09 375118
게시물 검색

인도웹은 광고매체이며 광고 당사자가 아닙니다. 인도웹은 공공성 훼손내용을 제외하고 광고정보에 대한 책임을 지지않습니다.
Copyright ⓒ 2006.7.4 - 2025 Powered By IndoWeb.Org. All rights reserved. Email: ad@indoweb.org