비즈니스/홍보 > 발리바다, 자연산 회가 무제한 제공되는 회크루즈

본문 바로가기
  • FAQ
  • 현재접속자 (890)
  • 최신글

LOGIN

1. 본 란은 유료 게시판입니다.
2.신청은 "홍보게시물 등록신청"를 클릭하여 별도로 신청해 주시기 바랍니다.
3.공공성이 인정되는 게시물은 별도 요청 시 무료 게재 가능합니다.
4. 비즈니스 관련 궁금한 사항은 "궁금해요" 게시판을 이용해 주시기 바랍니다.

여행/골프/숙박 | 발리바다, 자연산 회가 무제한 제공되는 회크루즈

페이지 정보

작성자 발리바다 쪽지보내기 메일보내기 홈페이지 자기소개 아이디로 검색 전체게시물 작성일 조회18,243회 댓글8건
  • 목록
게시글 링크복사 : https://www.indoweb.org:443/love/bbs/tb.php/biz_promo/31341

본문

http://balibada.com
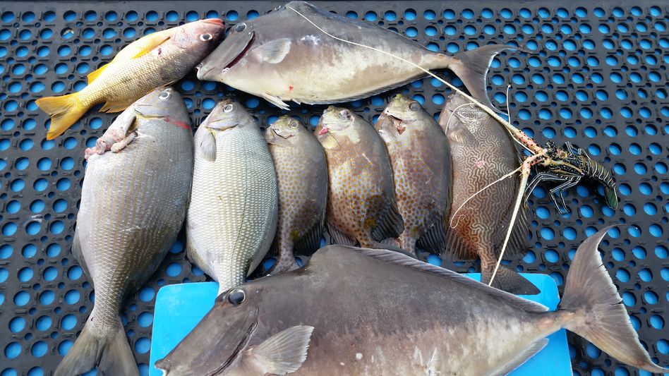
회크루즈는 전문 프리다이버가 회로 맛있는 고기로 검증된 물고기만 골라서 작살총으로 잡아 배 위에서 바로 회로 떠드리므로 횟집에서 먹는 회보다 더 싱싱하고 맛있습니다.
횟감을 잡는 동안 손님은 선상바다낚시를 할 수 있습니다.  낚시로 잡는 고기는 회로 먹기에는 적당하지 않아 손맛만 보시고 횟감은 작살총으로 갓 잡은 고기로 "그만회"할 때까지 무한 리필해드립니다.

발리바다에서는 회크루즈 외 래프팅, 데이크루즈, 스쿠버다이빙 등 다른 엑티비티들도 예약금이나 신용카드 없이  할인된 요금으로 예약해드립니다.
좋아요 0

댓글목록

댓글의 댓글

발리바다님의 댓글

발리바다 쪽지보내기 메일보내기 홈페이지 자기소개 아이디로 검색 전체게시물 작성일

아 여기서 뵈니 더욱 반갑습니다.
발리바다를 여기 저기에 광고해주시니 너무너무 고맙습니다.

발리바다님의 댓글

발리바다 쪽지보내기 메일보내기 홈페이지 자기소개 아이디로 검색 전체게시물 작성일

그저께 회크루즈 때 같은 포인트에서 10분 간격으로 두마리의 GT를 잡았습니다.

  • 목록
비즈니스/홍보 목록
  • Total 843건 19 페이지
비즈니스/홍보 목록
번호 제목 글쓴이 날짜 조회
Radio Frequency IDentification R… 비다까라 쪽지보내기 자기소개 아이디로 검색 전체게시물 20-08-24 322224
POS, ERP 손쉬운 판매관리시스템 - 유비테크(YUBI… 비다까라 쪽지보내기 자기소개 아이디로 검색 전체게시물 25-05-11 441537
(통관,물류) 인도네시아 통관에 어려움을 겪고 계신분들 참… AONE 쪽지보내기 자기소개 아이디로 검색 전체게시물 25-05-16 251219
[인니사업 시작의 필수 항목] 회계/세무, 사무실, 회사… 여행가기 쪽지보내기 자기소개 아이디로 검색 전체게시물 16-12-01 25302
인테리어 최고 전문 기업 - IndoKor 인니인 쪽지보내기 자기소개 아이디로 검색 전체게시물 25-05-01 435253
✨인니 기업운영시스템 "Sol* ERP, Works AI"… Omysolution 쪽지보내기 자기소개 아이디로 검색 전체게시물 25-11-18 48213
KITAS,비자,대학문서,할랄,ISO인증,세무,노무 행정지… 바른나무 쪽지보내기 자기소개 아이디로 검색 전체게시물 25-09-12 418254
PAC 세무회계사무소 pratama 쪽지보내기 자기소개 아이디로 검색 전체게시물 25-04-15 576918
339 식당/식품 세노파티 88 치킨에서 점심 식사를 시작합니다. 비다까라 쪽지보내기 메일보내기 자기소개 아이디로 검색 전체게시물 16-08-16 17241
338 문화/행사/기타 인도네시아 사업은 인도웹 114와 함께 시작하세요. 비다까라 쪽지보내기 메일보내기 자기소개 아이디로 검색 전체게시물 16-08-12 22739
337 문화/행사/기타 KTV - 인도네시아 한인 방송 채널을 인도웹에서 보실 수… 비다까라 쪽지보내기 메일보내기 자기소개 아이디로 검색 전체게시물 16-08-10 20803
336 금융/병원/건설 재외국민 여러분들의 한국 방문 일정에 맞춘 치과치료 제공!… 비다까라 쪽지보내기 메일보내기 자기소개 아이디로 검색 전체게시물 16-08-09 15430
335 물류/무역/제조 해외이사, 국내이사, 100%포장이사, 수입대행<->한국 … 댓글20 솔로몬 쪽지보내기 메일보내기 자기소개 아이디로 검색 전체게시물 16-08-08 31729
334 문화/행사/기타 눈사랑안경원 세일 안내 댓글1 첨부파일 Helen 쪽지보내기 메일보내기 자기소개 아이디로 검색 전체게시물 16-07-26 17127
333 금융/병원/건설 PT. SUPRABAKTI MANDIRI를 소개 드립니다. supra 쪽지보내기 메일보내기 자기소개 아이디로 검색 전체게시물 16-07-21 21525
332 문화/행사/기타 좋아요1 < 종료된 페이지 > 댓글2 sarahinjakar… 쪽지보내기 메일보내기 자기소개 아이디로 검색 전체게시물 16-07-18 19231
331 IT/기계/전자 2016년 9월 1일 T-Roaming 런칭 합니다. 댓글6 Jun 쪽지보내기 메일보내기 자기소개 아이디로 검색 전체게시물 16-07-14 24780
330 법률/컨설팅/부동산 (Wafield Recruitment) 현지인/한국 인력 … 고포릿 쪽지보내기 메일보내기 자기소개 아이디로 검색 전체게시물 16-07-13 14644
329 경제 인도네시아 중장비 시장, 건설·임업 수요를 노려라 댓글2 비다까라 쪽지보내기 메일보내기 자기소개 아이디로 검색 전체게시물 16-07-12 22252
328 경제 동티모르 시장의 진출 유망분야는? 코트라자카르타무역관 쪽지보내기 메일보내기 자기소개 아이디로 검색 전체게시물 16-07-10 23116
327 경제 달콤한 비스킷 시장이 뜬다 코트라자카르타무역관 쪽지보내기 메일보내기 자기소개 아이디로 검색 전체게시물 16-07-10 23164
326 식당/식품 청기와 본점 이전 OPEN 안내 Kevin38 쪽지보내기 메일보내기 자기소개 아이디로 검색 전체게시물 16-07-07 15698
325 문화/행사/기타 좋아요3 전문 가사도우미 / 집청소 서비스 - OKHOME 댓글16 OKHOME 쪽지보내기 메일보내기 홈페이지 자기소개 아이디로 검색 전체게시물 16-07-05 24248
324 문화/행사/기타 골프존 위자야점 오픈 댓글5 자칼매니아 쪽지보내기 메일보내기 자기소개 아이디로 검색 전체게시물 16-07-04 19608
열람중 여행/골프/숙박 발리바다, 자연산 회가 무제한 제공되는 회크루즈 댓글8 발리바다 쪽지보내기 메일보내기 홈페이지 자기소개 아이디로 검색 전체게시물 16-07-03 18244
322 법률/컨설팅/부동산 수카부미군 한국협력관입니다. 댓글1 첨부파일 Sukabumi 쪽지보내기 메일보내기 자기소개 아이디로 검색 전체게시물 16-06-30 17164
321 경제 싸고 기능 많은 스마트폰이 잘나간다 댓글1 비다까라 쪽지보내기 메일보내기 자기소개 아이디로 검색 전체게시물 16-06-27 23949
320 여행/골프/숙박 JNYC Jewely (구 영창공예품)에서 협력업체를 찾습… 풍마엘켄 쪽지보내기 메일보내기 자기소개 아이디로 검색 전체게시물 16-06-22 13021
319 식당/식품 베다니 가든 - 르바란 정상 영업 안내 chris9009 쪽지보내기 메일보내기 자기소개 아이디로 검색 전체게시물 16-06-21 12726
318 문화/행사/기타 홍대부고/홍대부여고 동문 모집합니다. 댓글3 Sid0130 쪽지보내기 메일보내기 자기소개 아이디로 검색 전체게시물 16-06-21 16578
317 물류/무역/제조 사탕제조전문기업 댓글8 첨부파일 myoungcool 쪽지보내기 메일보내기 자기소개 아이디로 검색 전체게시물 16-06-20 18988
316 문화/행사/기타 윤활유 판매 mango 쪽지보내기 메일보내기 자기소개 아이디로 검색 전체게시물 16-06-20 12498
315 식당/식품 Gading Serpong, Tangerang '산애' 식… 첨부파일 kjhxol 쪽지보내기 메일보내기 자기소개 아이디로 검색 전체게시물 16-06-12 16320
314 여행/골프/숙박 호텔 리츠칼튼 르바란 특가 RitzCarlton 쪽지보내기 메일보내기 자기소개 아이디로 검색 전체게시물 16-06-09 15204
313 식당/식품 자카르타 만남의 장소! 퓨전 Cafe & Lounge, 에… 비다까라 쪽지보내기 메일보내기 자기소개 아이디로 검색 전체게시물 16-06-08 19478
312 식당/식품 조선 민물장어 - 드디어 리뽀 찌까랑 입점 마이콜최 쪽지보내기 메일보내기 자기소개 아이디로 검색 전체게시물 16-06-07 15366
게시물 검색

인도웹은 광고매체이며 광고 당사자가 아닙니다. 인도웹은 공공성 훼손내용을 제외하고 광고정보에 대한 책임을 지지않습니다.
Copyright ⓒ 2006.7.4 - 2025 Powered By IndoWeb.Org. All rights reserved. Email: ad@indoweb.org